Černá jádra ořechů: jaká choroba to způsobuje a jak s ní můžete teď na podzim zatočit
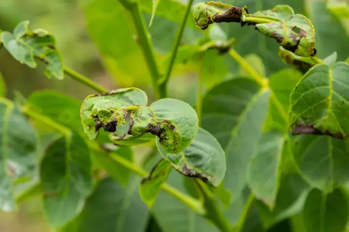
Antraknóza ořešáku se nejprve projeví na listech, kde vznikají různě velké skvrny, jakmile se dále šíří, napadá i plody, kde se dostane až pod skořápku k jádru, které pokryje černým povlakem
Sklizeň vlašských ořechů patří k těm milejším povinnostem každého podzimu. Vlašské ořechy jsou doslova nabité důležitými vitamíny a minerály, které jsou velmi prospěšné pro naše zdraví. Pokud je to, z hlediska potřebného místa na vaší zahradě, možné, vysaďte si ořešák královský a sklízejte své vlastní ořechy, a to nejen s ohledem na jejich vitamínové složení, ale také na nehorázné ceny za ořechy v obchodech.
Co způsobilo černou a rozbředlou slupku na jádru: na vině je ta nejčastější choroba
V uzavřených polohách bývají citlivější odrůdy ořešáku silně napadány nejčastější houbovou chorobu zvanou antraknóza ořešáku, někdy také jen hnědnutí listů. Antraknóza se projevuje nejprve hnědými skvrnami na listech i plodech. Nákaza při časné infekci plodu proniká mladou skořápkou až do jádra, která získají černý povlak. Takto napadená jádra samozřejmě nejsou vhodná ke konzumaci. U starších plodů se choroba zastaví u skořápky a dovnitř k jádrům neproniká.
Nejvíce jsou napadány papíráky a polopapíráky
Málokterý ořešák se této houbové chorobě zcela vyhne, nicméně u některých druhů je její napadení mnohem výraznější. Náchylnou skupinou jsou především papíráky a polopapíráky, které mají tenkou skořápku a choroba se tak snáze dostane k jádru. Při silném napadení listů se listy deformují a předčasně opadávají třeba už koncem léta. V důsledku toho pak hůře vyzrává dřevní část a zvyšuje se riziko, že je poškodí mrazy.
Na podzim zlikvidujte veškeré napadené listí i oplodí
Houba přezimuje na napadených, opadaných listech a oplodí, ze kterých se na jaře uvolňují askospory, které jsou zdrojem primárních infekcí. Nejčastěji se uvolňují od poloviny května a přispívá k tomu deštivé a vlhké počasí. Infekce se totiž přenáší jen ve chvíli, díky jsou rostlinné části ovlhčené. Spolehlivou, preventivní ochranou je především likvidace napadených částí, které nikdy nepatří ani do kompostu, ani do bioodpadu.
Jak se proti antraknóze ořešáku chránit? Preventivně i chemicky
Na riziková stanoviště nevysazujte náchylné odrůdy, což je většina roubovaných odrůd a udržujte vzdušnou korunu pravidelným řezem kdykoliv za vegetace, tedy od konce května. Na kyselých půdách můžeme odolnost ořešáků zvýšit tak, že ji povápníme a přihnojíme draselným hnojivem.
Nemáme-li příliš vysoký strom a je-li možná chemická ochrana, lze využít přípravek Champion 50 WG nebo Kuprikol 50, kdy stromy ošetřujeme jedenkrát před květem a podle míry infekce ještě po odkvětu 2-3x v intervalu 7-14 dní. U vzrostlých stromů lze ošetřit alespoň spodní část koruny, přičemž postřiky účinkují zároveň proti bakteriální skvrnitosti ořešáků, která má podobné příznaky jen s tím rozdílem, že za vlhka se na plodech tvoří bakteriální sliz.
O autorce:
Vystudovala Zahradní inženýrství na České zemědělské univerzitě v Praze a již přes 20 let působí jako zahradní architektka. Její koníček se zároveň stal i její profesí, založila úspěšnou, realizační firmu, která svým zákazníkům ukazuje, že krásnou a udržovanou zahradu může mít každý, stačí jen vědět, jak na to. Své odborné znalosti a zkušenosti sdílí také na sociálních sítích a těší ji zájem fanoušků o rostliny a přírodu kolem nás. Zahradnímu oboru propadla natolik, že jej řadu let vyučovala na středních školách a vychovala tak několik generací mladých a perspektivních zahradníků.




















